高度约140米

2023年9月,项目地块完成备案;2024年6月,项目于泉州市自然资源和规划局发布建设工程规划许可批前公示,意味着离实质性落地又近一步。
东海总部经济区位于泉州中央商务区沿丰海路一侧,临海而立,总建面约198.52万㎡,规划建设商务办公及总部大楼约28栋。
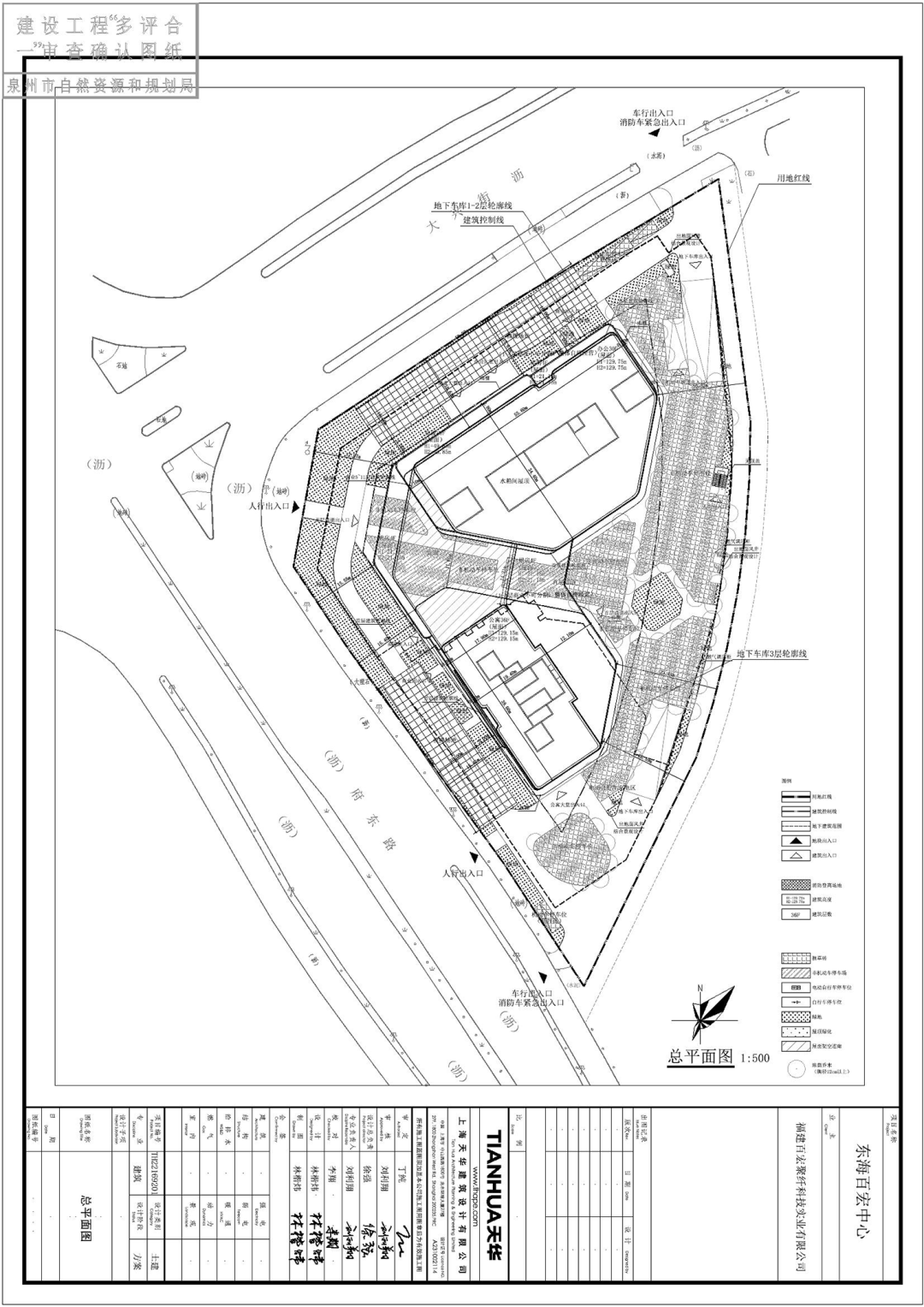
目前片区内连捷国际中心、菲莉中心、匹克大厦、汇金国际中心、中渌广场、和富中心、蓝海国际、海悦中心等已实景呈现。此外,还有达利总部、莲花中心、金鹿总部大厦、东海投资大厦(泉州城建总部)、泰山石化总部、水务集团大厦、泉州海丝金融中心(泉州发展集团总部)等项目火热建设中;东海百宏中心、汇璟国际(361°总部)即将开建。
此外,东海悦华酒店已进入试营业阶段,洲际皇冠假日酒店和泉州荣誉酒店在建中。
扫一扫在手机上查看当前页面